Přejít k hlavnímu obsahu
Zpět

Události

6. ročník mezinárodní veterinární výstavy Vet Fair

MVDr. František Repka

1. červen 2008

Ve dnech 11.-12. dubna se společnost B. Braun Medical již podruhé prezentovala na veterinární výstavě v Hradci Králové. Tato akce se koná každoročně a je největší veterinární výstavou v České republice.

Na 6. ročníku se prezentovalo ve sto dvou expozicích sto třicet vystavujících firem. Vet Fair 2008 během dvou dnů navštívilo více než patnáct set návštěvníků z řad odborné veřejnosti, z čehož téměř osm set osob se zúčastnilo doprovodného odborného programu. Tento byl i v letošním roce koncipován ve spolupráci s pěti odbornými asociacemi a společnostmi.

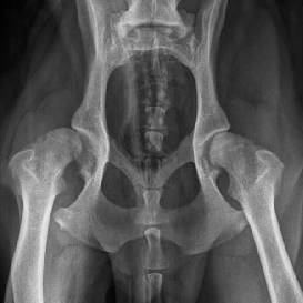
Kyčelní kloub psa plemene labrador před operací a po operaci totální endoprotézy Aesculap na RTG snímcích

B. Braun Medical v tomto roce na výstavě představil kromě klasického portfolia produktů divize Hospital Care i letošní novinku na veterinárním trhu - kompletní systém totální endoprotézy pro psa, značky Aesculap. Tato endoprotéza zaujala při své premiéře přední veterinární odborníky, a výsledkem je první workshop, který se uskuteční ve dnech 20.-21. června na veterinární klinice MVDr. Rašky v Ostravě pod odborným vedením zkušených operatérů tohoto systému z Norimberské veterinární kliniky. Ta je po Mnichovské univerzitě největším veterinárním pracovištěm Bavorska.

Dále byly představeny nové veterinární podložky Netty - výrobek firmy Santex, byly prezentovány výsledky půlročního používání oplachového roztoku na rány Prontosan® ve veterinární praxi a sté výročí šicích materiálů B. Braun.

Výstavy se v roli odborných konzultantů na stánku zúčastnily dvě zástupkyně Zelených hvězd Kristýna Rathouská a Markéta Šragová, za jejichž pomoc a účast jim tímto děkuji.

 

Odborné informace o léčivech a zdravotnických prostředcích

Tyto stránky obsahují odborné informace o léčivech a zdravotnických prostředcích určené zdravotnickým odborníkům v České republice. Nejsou určeny laické veřejnosti.

Odborníkem je dle § 2a zákona č. 40/1995 Sb., o regulaci reklamy, v platném znění, osoba oprávněná předepisovat nebo vydávat léčivé přípravky nebo zdravotnické prostředky. Pokud osoba, která není odborníkem, vstoupí na tyto webové stránky, vystavuje se riziku nesprávného porozumění informací zde publikovaných a z toho plynoucích důsledků.

Kliknutím na tlačítko „Jsem odborník“ potvrzujete, že:

  • Jste se seznámil/a s výše uvedenou zákonnou definicí pojmu „odborník“;
  • Jste odborníkem ve smyslu zákona o regulaci reklamy;
  • Jste se seznámil/a s riziky, kterým se jiná osoba než odborník vystavuje, jestliže vstoupí na stránky určené převážně pro odborníky.
Jsem odborník
Nejsem odborník